Árverezendő a tulajdoni lap II/2. sorában bejegyzett tulajdoni rész Tulajdoni lap adatai alapján 69 nm alapterületű lakás; adó- és értékbizonyítvány adatai szerint 74 nm-es. Önálló építmény földhasználati jog alapján. Tulajdoni lap I/5. sora alapján illeti a Szekszárd belterület 3321/3 hrsz-ú ingatlant terhelő Földhasználati jog. Tulajdoni lap III/14. sorában - bejegyző határozat szám: 39404-2/2008.06.23. - bejegyzett elidegenítési és terhelési tilalom 10 év időtartamra - hiv. sz.: IB.7478-/2007.- jogosult Szekszárd Vármegyei Jogú Város Önkormányzata. Sikeres árverés esetén a tulajdoni lapról nem kerül törlésre, arról az érdekelt félnek/feleknek kell intézkedni. Az építmény jellemzői: belterületi fekvésű, megközelíthető kiépített pormentes úton, összközműves; vízellátás: a városi hálózatról kiépített földgáz: bekötve, szennyvíz: a városi szennyvízhálózatba bekötve, elektromos áram: 220 V-os rendszer, fűtés: gázfűtés. A lakóház jellemzői: földszintes lakóház tetőtét beépítéssel; alapozása: vasbeton sáv- és pontalapok; falazata: tégla; szigetelése: utólagos hőszigeteléssel nincs ellátva; tetőszerkezet: fa szerkezet, cserépfedés; tetőtér beépítés: nincs; helyiségei: 4 szoba, 1 konyha, 1 fürdőszoba, 1 előszoba, 1 WC, 1 kamra. Az ingatlanról készült képfelvétel tájékoztató jellegű 2021.05.23. napján készült, ajánlat tétel előtt személyesen győződjön meg az ingatlan állapotáról. Becsérték 2021.05.23-án került közlésre. Az ingatlan leírása tájékoztató jellegű ajánlattétel előtt javasolt helyszínen tájékozódni. A végrehajtói irodának nincs információja a közműszolgáltatók felé fennálló esetleges tartozásokról. A fogyasztási helyet lejárt határidejű vagy vitatott díjtartozás terhelheti, amely a vízközmű-szolgáltatóval való szerződéskötés akadályát képezheti. Az ingatlan tényleges állapotáról és elhelyezkedéséről mindenki saját felelősségére győződjön meg.
| Kikiáltási ár | 4900000 |
|---|---|
| Minimum ár | 4900000 |
| Aktuális ár | |
| Licit lépcső | 98000 |
| Árverési előleg | 490000 |
| Licitálók száma | 0 |
| Licitek száma | 0 |
| Árverés kezdete | 2026-04-30 00:00 |
| Árverés vége | 2026-06-29 10:00 |
| Lejáratig hátralévő idő | 60 nap 4 óra 2 perc |
| Végrehajtási ügyszám | 0067.V.8011/2024/254 |
| Árverés azonosító | 931191 |
| Tulajdoni hányad | 1/2 (50%) |
| Beköltözhető | Nem |
| Sikeres árverés esetén sem törölhető jogok | minden jog törölhető (tehermentes) |
| Sikeres árverés esetén sem köteles kiköltözni | társtulajdonos |
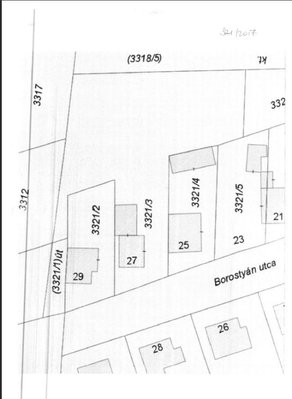
| Cím | 7100 Szekszárd, Borostyán utca 27 |
| Megye | Tolna |
| Település | Szekszárd |
| Helyrajzi szám | 3321/3/A |
| Besorolás | lakóépület |
| Fekvés | belterület |
| Művelési ág | nincs |
| Bejegyzett földhasználat | földhasználati jogcím nincs |
| Épület típusok | lakóház |
| Jogi jelleg | nincs |
| Feldolgozva | 2026-04-30 04:06:47 |
| Még nem érkezett licit az ingatlanra |
|---|
Az ingatlanra licitálni a Magyar Bírósági Végrehajtói Kar oldalán lehetséges, személyes, végrehajtónál történő regisztráció után. Amennyiben érdekli ez a hirdetmény, a végrehajtási ügyszámra keresve megtalálhatja az MBVK oldalán az elektronikus ingatlan árverések között.
Amennyiben hibás hírdetményt talál, vegye fel a kapcsolatot velünk és eltávolítjuk azt. Az MBVK adatbázisából történő törléshez vegye fel a kapcsolatot az MBVK-val.