Alapterület:426 kivett lakóház, udvar A Vht. 137.§. (2) pontja értelmében az ingatlan tehermentesen kerül árverésre: Nem terheli az ingatlant megszerző tulajdonos tulajdonjogát a haszonélvezeti jog - függetlenül attól, hogy az ingatlan-nyilvántartásba be van-e jegyezve -, ha annak jogosultja a végrehajtást kérő követelésének kielégítéséért felelős, vagy ha azt a jelzálogjog keletkezése után szerződéssel létesítették. Az ingatlan tehermentesen, beköltözhetően kerül árverésre. Birtokba adásra abban az esetben kerülhet sor, ha társtulajdonos ingatlanrészére folytatott árverés - az előttem lévő 0151.V. 1288/2009 sz. ügy - is sikeresen zárul. Személyi tulajdoni jellegű, aszfaltos út megközelíthetőségű, víz-, villany-, szennyvíz közművesítettségi fokú lakóház, udvar. Kerítése van. Készültségi foka 100%. Alapozása beton. Tetőszerkezete pala, állapota átlagos. Épült kb. 1986-ban. Állapota átlagos. A nyílászárók állapota fa, átlagos. Melléképület nincs.
| Kikiáltási ár | 12500000 |
|---|---|
| Minimum ár | 11250000 |
| Aktuális ár | 6250000 |
| Licit lépcső | 125000 |
| Árverési előleg | 1250000 |
| Licitálók száma | 1 |
| Licitek száma | 1 |
| Árverés kezdete | 2026-04-13 00:00 |
| Árverés vége | 2026-06-12 16:00 |
| Lejáratig hátralévő idő | 60 nap 8 óra 58 perc |
| Végrehajtási ügyszám | 0151.V.1286/2009/151 |
| Árverés azonosító | 928280 |
| Tulajdoni hányad | 1/4+1/4=2/4 (Nem feldolgozható) |
| Beköltözhető | Igen |
| Sikeres árverés esetén sem törölhető jogok | minden jog törölhető (tehermentes) |
| Sikeres árverés esetén sem köteles kiköltözni | nincs ilyen személy |
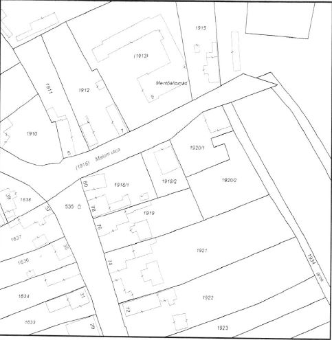
| Cím | 3900 Szerencs, Malom utca 12. |
| Megye | Borsod-Abaúj-Zemplén |
| Település | Szerencs |
| Helyrajzi szám | 1918/2 |
| Besorolás | lakóépület |
| Fekvés | belterület |
| Művelési ág | nincs |
| Bejegyzett földhasználat | földhasználati jogcím nincs |
| Épület típusok | lakóház |
| Jogi jelleg | nincs |
| Feldolgozva | 2026-04-13 04:05:01 |
| Licitáló | Licit | Dátum |
|---|---|---|
| Q35MM | 6250000 | 2026.03.27. 12:34:43 |
Az ingatlanra licitálni a Magyar Bírósági Végrehajtói Kar oldalán lehetséges, személyes, végrehajtónál történő regisztráció után. Amennyiben érdekli ez a hirdetmény, a végrehajtási ügyszámra keresve megtalálhatja az MBVK oldalán az elektronikus ingatlan árverések között.
Amennyiben hibás hírdetményt talál, vegye fel a kapcsolatot velünk és eltávolítjuk azt. Az MBVK adatbázisából történő törléshez vegye fel a kapcsolatot az MBVK-val.