Árverésre kerül egy 1369 m2 alapterületű ingatlan 1/2 tulajdoni hányada. Az adó-értékbizonyítvány alapján az ingatlan közművesített: vezetékes víz (fúrott-ásott kút)-villany-gáz-csatorna. Az adó- és értékbizonyítvány tájékoztatása alapján lakóingatlannak minősül. Természetben az épületek bontásra kerültek - bontási kötelezettség elrendelése alapján. Az árverési előleg és az aktiválási kérelem végrehajtói irodához történő megérkezése legkésőbb az árverés lezárását megelőző 3. munkanapig történhet. Tájékoztatom, hogy az árverési előleg bármely okból történő visszautalása esetén a Vht. 142.§ alapján a Vht. 132/F. § (4) bekezdés szerint az átutalt összegből levonásra kerül az átutalási költség. Az ingatlanról készült képfelvétel tájékoztató jellegű.
| Kikiáltási ár | 250000 |
|---|---|
| Minimum ár | 125000 |
| Aktuális ár | |
| Licit lépcső | 5000 |
| Árverési előleg | 25000 |
| Licitálók száma | 0 |
| Licitek száma | 0 |
| Árverés kezdete | 2026-04-03 00:00 |
| Árverés vége | 2026-06-02 09:00 |
| Lejáratig hátralévő idő | 14 nap 16 óra 57 perc |
| Végrehajtási ügyszám | 024.V.0576/2011/313 |
| Árverés azonosító | 927684 |
| Tulajdoni hányad | 1/2 (50%) |
| Beköltözhető | Igen |
| Sikeres árverés esetén sem törölhető jogok | minden jog törölhető (tehermentes) |
| Sikeres árverés esetén sem köteles kiköltözni | nincs ilyen személy |
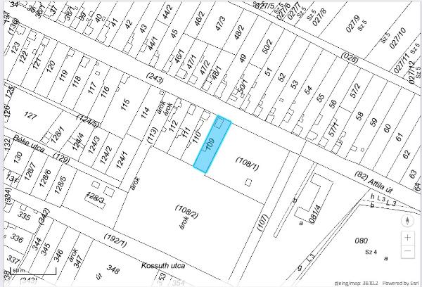
| Cím | 5464 Tiszainoka, Attila út 77. |
| Megye | Jász-Nagykun-Szolnok |
| Település | Tiszainoka |
| Helyrajzi szám | 109 |
| Besorolás | lakóépület |
| Fekvés | belterület |
| Művelési ág | nincs |
| Bejegyzett földhasználat | földhasználati jogcím nincs |
| Épület típusok | nincs |
| Jogi jelleg | nincs |
| Feldolgozva | 2026-05-18 04:01:59 |
| Még nem érkezett licit az ingatlanra |
|---|
Az ingatlanra licitálni a Magyar Bírósági Végrehajtói Kar oldalán lehetséges, személyes, végrehajtónál történő regisztráció után. Amennyiben érdekli ez a hirdetmény, a végrehajtási ügyszámra keresve megtalálhatja az MBVK oldalán az elektronikus ingatlan árverések között.
Amennyiben hibás hírdetményt talál, vegye fel a kapcsolatot velünk és eltávolítjuk azt. Az MBVK adatbázisából történő törléshez vegye fel a kapcsolatot az MBVK-val.