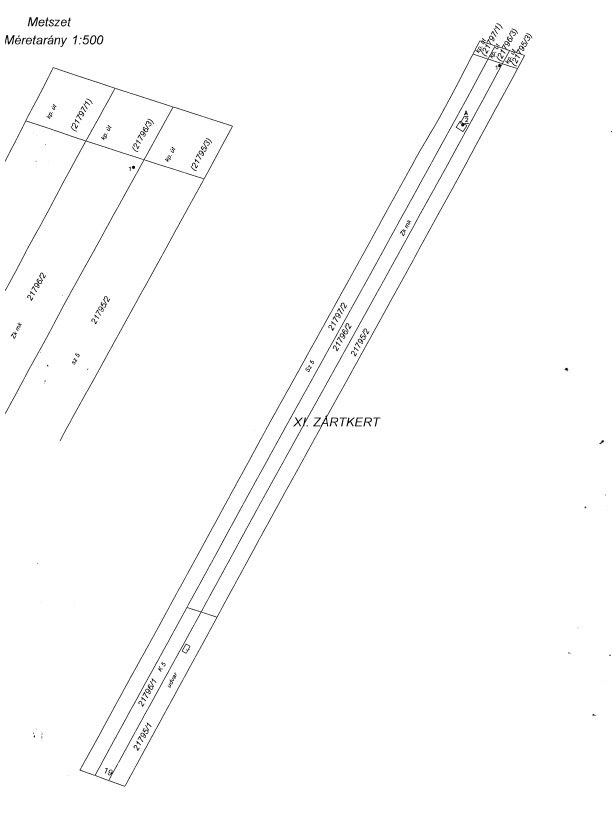
A Győr Megyei Jogú Város Jegyzője által 2026.01.13. napján kiállított, 2740-2/2026 számú adó- és értékbizonyítvány alapján került megállapításra a Győr zártkert 21796/2 helyrajzi számú, kivett zártkerti művelés alól kivett terület megnevezésű, 4078 m2 területű ingatlan. Terheli a Győr zártkert 21796/2/A hrsz-ú ingatlant illető, megállapodáson alapuló földhasználati jog.
| Kikiáltási ár | 1869090 |
|---|---|
| Minimum ár | 934545 |
| Aktuális ár | |
| Licit lépcső | 37000 |
| Árverési előleg | 186909 |
| Licitálók száma | 0 |
| Licitek száma | 0 |
| Árverés kezdete | 2026-03-13 00:00 |
| Árverés vége | 2026-05-12 09:00 |
| Lejáratig hátralévő idő | 13 nap 22 óra 59 perc |
| Végrehajtási ügyszám | 019.AV.0024/2022/155 |
| Árverés azonosító | 923943 |
| Tulajdoni hányad | 20/96 (21%) |
| Beköltözhető | Nem |
| Sikeres árverés esetén sem törölhető jogok | telki szolgalmi jog |
| Sikeres árverés esetén sem köteles kiköltözni | társtulajdonos |
| Cím | 9028 Győr, Tatai út 58. |
| Megye | Győr-Moson-Sopron |
| Település | Győr |
| Helyrajzi szám | 21796/2 |
| Besorolás | egyéb |
| Fekvés | zártkert (1994.07.27. előtti minősítés esetén) |
| Művelési ág | nincs |
| Bejegyzett földhasználat | földhasználati jogcím nincs |
| Épület típusok | nincs |
| Jogi jelleg | nincs |
| Feldolgozva | 2026-04-28 04:03:23 |
| Még nem érkezett licit az ingatlanra |
|---|
Az ingatlanra licitálni a Magyar Bírósági Végrehajtói Kar oldalán lehetséges, személyes, végrehajtónál történő regisztráció után. Amennyiben érdekli ez a hirdetmény, a végrehajtási ügyszámra keresve megtalálhatja az MBVK oldalán az elektronikus ingatlan árverések között.
Amennyiben hibás hírdetményt talál, vegye fel a kapcsolatot velünk és eltávolítjuk azt. Az MBVK adatbázisából történő törléshez vegye fel a kapcsolatot az MBVK-val.